LA
NY
Washington DC
San Francisco
Chicago
Seattle
Hawaii
Atlanta
Philadelphia
Vancouver
Toronto
Home
TV쇼 영웅들(Heroes)에 출연한 한인배우 제임스 계선 리(왼쪽)가 공연자인 데니아 라미레즈, 자카리 퀸토(오른쪽 두 번째), 노아 그레이-케이비(오른쪽) 등과 함께 뉴욕의 NBC 익스피리언스 스토어 밖에서 포즈를 취하고 있다.
한인 영웅..
맥주 잔치..
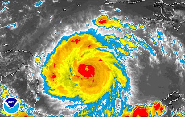
허리케인 헨리..
부시 반대..
이라크 성적표..
그리스 산불 ..
미국 위협하는..
폭우를 헤치고..
미안하다, 더..
모델의 몸매..
prev
1591
1592
1593
1594
1595
1596
1597
1598
1599
1600
Next
정기구독
신문광고
안내광고
전자신문
한인업소록
회사안내
|
구독신청
|
독자의견
|
배달사고접수
4525 Wilshire Blvd., Los Angeles, CA 90010 Tel.(323)692-2000, Fax.(323)692-2020
Copyright©
The Korea Times
All rights reserved.